文 | 王铁林 董军 吴雄志
心脏外科手术室室建设
心脏外科(简称“心外”)手术复杂,难度高、风险大,对手术室有着很高要求,为此,心外专科手术室建设的适宜性研究当属必要。

本文选择泰达国际心血管病医院(简称“泰心医院”)手术室为样本,围绕心外专科手术室平面布局、人、物流动线组织、空间功能设置等加以分析,并以感染控制和使用效率指标衡量其使用情况,力求为心外手术室建设提供经验。
一、样本条件、概括
泰心医院为心血管专科医院,床位500 张,手术室16 间,ICU72 床,DSA5 台,CCU40 床,设计年手术量5000 例,年介入治疗10000 例,该院区已获JCI 认证多年。其手术部平面与功能布局从以下六个方面来展开说明:
1、平面布局
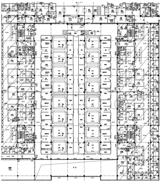
这所医院手术部平面采用中心岛式布局,16间手术室8间一组分两组左右纵向排列,两组中间为为无菌走廊,与端头洁梯相通直达中心供应。以手术室为核心,手术室前后一对一的设置麻醉准备间、刷手间、冲洗消毒间、体外装机室、无菌储存间,不设污物回收走道。

/ 泰心医院手术室平面图
2、净化级别
每间手术室面积 44 ㎡,净化级别Ⅲ级14 间、Ⅰ级2间。
3、动线组织
医患:经卫生通过进入洁净走廊达手术室。
无菌物品:中心供应 —– 洁梯 —- 无菌走廊 —- 无菌库 —- 手术室。
术后废弃物:手术室 —- 冲洗消毒间 / 打包、密闭、消毒 —- 洁净走廊 —- 污梯 —- 外运。
术后回收器械:手术室 —- 冲洗消毒间 /85℃水 5 分钟消毒 —-洁净走廊 —- 污梯 —- 中心供应。
术后患者经手术部与 ICU 间洁净走廊进入 ICU。
4、各功能空间
护士站前置接转病人,设有转床机。手术室前室麻醉准备间设有手术床、无影灯、医用气体。冲洗消毒间设有冲洗消毒机、密闭回收箱、冲洗槽台。手术室后置体外装机室,设上下水、二氧化碳气源终端等。
5、信息系统
手术部与医院 HIS、PACS 互联互通,可实现数据采集、通讯、存储、调阅、显示功能。
6、使用情况
该院手术部始建于 2001 年,于 2003 年投入使用,连续使用至今已近 20年,累计完成手术 40000 余例,手术种类包括先心病、搭桥、主动脉夹层瘤、心脏移植等心血管外科手术,三、四级手术占 70%以上,依据手术名称和手术切口类别(DEHAI25、26、30、32)该院2016 年至 2021 年连续 5 年心外年度手术例数和手术部位感染率如下表。
泰心医院无菌手术切口感染率表

注:三级医院无菌手术切口感染率规定为< 1%。
二、样本分析评价
本文采用事后评估和缺点列举法对样本分析评价。
1、总体功能
这所医院手术部经多年使用完成数万例手术,无菌切口感染率远低于1% 规定标准,表明其安全可靠性。
2、平面、动线、空间处理合理适当
以手术室为核心,手术室前后组合麻醉准备间、刷手间、冲洗消毒间、无菌库、体外装机室,既符合心外手术和无菌技术操作流程,并兼顾效率。在感染控制方面主控无菌物品环节,术后回收器械与废弃物本着就地消毒、洁污分明原则,细节处理到位。各功能空间使用目的明确,空间尺度和空间设施布置适当。如手术室空间面积44 ㎡,实际使用满足了医护、麻醉、体外、电生理等多专业同室作业要求,而非空间愈大愈好。另如为安全转运术后病人所建立的手术部与 ICU 间的洁净通道,以及手术部与检验科间建立的点对点气动物流系统,确保了术中快速血气检验,也省建了手术部血气室等。
三、关于洁污分流与洁净级别问题的分析
1、洁污分流、双通道布局问题
当今,惯用手术室双通道、洁污分流设计布局,认知上已成定式,否则,其他布局方式将受质疑,或审图不过,医疗准入验收受阻。
本文泰心医院手术部采用中心岛式布局,未设置污物走道,其设计是本着洁污分明原则,主导无菌物品管控,力求空间组合满足手术流程和空间医疗行为要求,有关术后废弃物和复用器械,在一对一手术室前室冲洗消毒间中就地冲洗、消毒、打包密闭后,由洁净走廊进污梯外运,经多年使用和所完成数万例手术及其无菌手术切口感染率(< 1%)监测,均证实其使用安全可靠性。
由此说明,手术室布局可采用多种方式,而非唯双通道一种,GB50333《洁净手术部建筑技术规范》5.2 条、7.2.4 条明确表述“手术部平面应根据节约面积、便于疏散、功能动线短捷、洁污分明原则采取单通道、双通道、多走廊等方式设计”,其中洁污分明与洁污分流虽一字之差,但在原则和形式上有着本质区别。
2、心外科手术室净化级别问题
心外手术风险大,感控要求高,心外手术室净化级别是否必定I级,低于Ⅰ级的洁净手术室可否用于心外手术?
泰心医院 16间手术室,Ⅰ级 2 间、Ⅲ级 14 间,连续数万例手术多在Ⅲ级手术室中完成,Ⅰ级手术室有进行心脏移植、极重大危险心外手术,实际使用验证Ⅲ级手术室也可适用心外手术,根据如下:
—– 本文统计的手术例数均为无菌Ⅰ类切口,与空气洁净相关程度高,更有意义。
—- 按 GB15982《医院消毒卫生标准》手术室归为Ⅱ类环境,允许空气细菌最大平均浓度≤ 200 个 /cm3,相对应Ⅲ级手术空气细菌数≤ 150 个/cm3。
—- 围绕手术室感染控制:“空气洁净度、无菌物品、无菌操作”这方面关键环节系统控制十分必要。
—- 兼顾节能:手术室换气次数Ⅰ级> 40 次 /h,Ⅲ级> 18 次 /h,相比Ⅲ级明显低于Ⅰ级能耗。
四、结语
综上,泰心医院心外专科手术室在功能完善合理合规,感染控制严格等方面从建设之初就有充分全面的整体解决方案,并充分呈现在平面和设计空间形成能力,取得了很好的运行效果,值得借鉴。
本文选于洁净园期刊《医疗洁净技术》
*关注“洁净园”,获取更多价值干货!
免费领取养生资源、小吃配方,添加 微信:1670341237 备注:69养生圈!
如若转载,请注明出处:https://www.675971625.com/4878.html
